- 다양한 주제에 대해 자유롭게 글을 작성하는 게시판입니다.
| Date | 19/10/07 12:32:27수정됨 |
| Name | 다군 |
| File #1 | EGPf3CbXkAAqF__.png (774.0 KB), Download : 16 |
| File #2 | EGPtUddX0AAoour.jpg (224.3 KB), Download : 16 |
| Link #1 | http://www.weather.go.kr/weather/typoon/report.jsp |
| Subject | 제 19호 태풍 하기비스(HAGIBIS) |
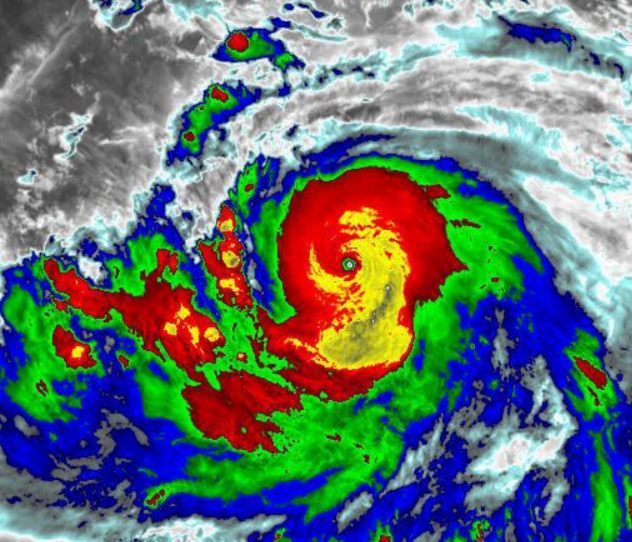
![]() 가을 태풍이 더 무섭다고 하기는 합니다만, 소위 역대급 태풍이 될 것 같습니다. 빠른 속도로 강력해지고 있어서 2015년의 허리케인 패트리샤를 연상하는 사람들도 있네요. (하기비스가 필리핀에서 '빠름'을 뜻한다고 합니다.) *2015년 허리케인 패트리샤는 872hPa, 185노트 풍속을 기록했습니다. 미국처럼 직접 비행기로 태풍 속을 뚫고 들어가서 측정할 수는 없습니다만, 위성 관찰로는 SSHS 등급 상 카테고리 5 단계에 도달했습니다. (풍속 136노트 이상) 현재 평균 풍속이 약 150노트로 추정되는데, 더 강력해질 것입니다. 작은 눈이 또렷하게 보이고 있습니다. 오늘 저녁~밤이면 아주 강력해져 있을 듯 한데, 다행히 작년 태풍 위투 때와는 달리 사이판을 포함해 마리아나 제도의 사람들이 거주하는 섬들은 피해가는 것 같습니다. 아직 유동적이고, 일단은 일본 쪽으로 갈 것 같다는 예상이 많습니다만, 우리나라도 아직 방심할 수는 없을 것 같습니다. (특히 부산 쪽은) ECMWF GFS JMA HWRF-P 3
이 게시판에 등록된 다군님의 최근 게시물
|
|





